Florida Bracing For Hurricane Irma

Hurricane Irma

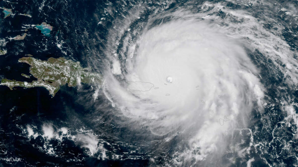
Hurricane Irma is taking aim on Miami  as it continues on its deadly path through the Caribbean. The Category  Five storm has shifted westward a bit in recent forecasts, meaning it  will likely make landfall near South Beach early Sunday morning.  A  hurricane watch is in effect for all South Florida coastal areas.  The  storm is currently pummeling the Turks and Caicos islands.  It will move  between Cuba and the Bahamas within the next day or two.  The storm has  been responsible for at least ten deaths in the Caribbean and left more  than a million without power on Puerto Rico.

Governor Rick Scott warned  Floridians today that the entire state is at risk from Hurricane Irma.   At an afternoon briefing, Scott said that people across the state should  be prepared to evacuate their homes.  He said people need to move  quickly if they are ordered to evacuate.  The governors of Georgia,  South Carolina and North Carolina all declared states of emergency as a  weakened Irma is expected to head north on Monday.

President Trump and Vice President Pence are  being briefed on the latest developments on Hurricane Irma.  A statement  from the White House says President Trump's number one priority is saving lives.  The President is urging people in the path of the  powerful hurricane to follow the instructions of their local  authorities.  During a briefing today, Trump stressed his expectation that all government agencies stay engaged in helping every state and  territory affected by the storm.

Photo: Getty Images


Sponsored Content

Sponsored Content